Cotoneaster coriaceus – Cotognastro coriaceo

portamento; foglia; fiore; frutto; corteccia; rametti; fenologia; areale di origine; sistematica; dove trovarli; Mura e corridoio ecologico

Cotoneaster coriaceus Franch.
Annomato da Andrien Franchet botanico francese, nel volume Plantae Delavayanae, 1890. Il titolo dell’opera fa esplicito riferimento al gesuita Pierre Delavay, missionario in Cina da dove spediva campioni su campioni a Parigi; in particolare quelli raccolti nella ricca (botanicamente) regione Yunnan (dove il coronavirus ha probabilmente fatto il salto di specie, ricordate?) furono studiati dal Franchet. La vita del religioso è affascinante, e non solo per le prodezze scientifiche.

Frontespizio di Plantae Delavayanae, in alto, e la pagina 222 che contiene la descrizione della specie, in basso.

Fenologia: presenta un risveglio vegetativo anche a fine estate.

Areale di Origine (Native range): dal Tibet alle province della Cina del centrosud.

Arbusto sempreverde, dalla chioma spesso scarruffata, ma ne esistono anche a chioma compatta. Il colore muta con le stagioni, per i fiori e i frutti abbondanti. Piuttosto comune è apprezzato dai giardinieri che lo collocano spesso isolato in bella evidenza. Ugualmente noto come Cotoneaster lacteus (Cotognastro latteo).

I rami crescono eretti ma presto puntano in direzioni diverse e la chioma si allarga. Nella foto un giovinetto che cresce nell’arbusteto di Agripolis (Legnaro, PD)
Giardini Santa Rita. Anche questo esemplare ha chioma aperta con ampi spazi fra i rami.
Giardino privato in Via Monte Santo, decisamente compatto.
Foglie allungate con base e vertice elegantemente acuti. Le nuove sono verde smeraldo, poi scuriscono e tendono quasi al glauco.
Coriacee e ruvide hanno le venature della pagina superiore incassate a disegnare motivi a sbalzo. Margine intero e rinforzato da una specie di cordone chiaro.
Picciolo breve e densamente peloso. Nella foto si distinguono bene sia la base acuta sia lo pseudo cordolo che delimita il bordo.
Pagina inferiore pelosissima sia sulla lamina sia sulle venature. Queste ultime sono in rilievo. Le secondarie corrono parallele e ravvicinate fino al bordo fogliare.
Intrico di peli della pagina inferiore
La superiore ne ha pochi ma bastanti a dare la sensazione di ruvidezza di cui si è detto
La disposizione è alterna con le foglie tutte sullo stesso piano.
Il vertice è munito di un minuscolo mucrone a prolungamento della nervatura principale. Carattere dirimente.
Pianta che ha peli dappertutto, anche sulle piccole stipole alla base delle foglie.
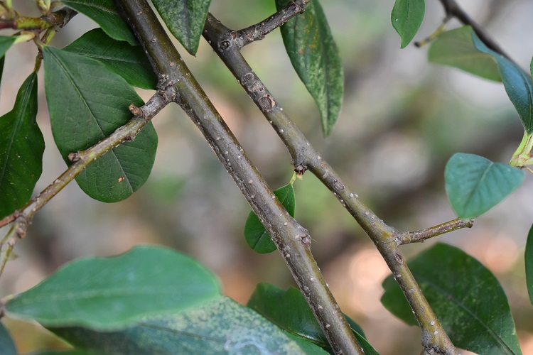
E pure sui rametti, ma solo da giovani ché poi diventano glabri, marroni e lenticellati.
Fioritura abbondante e spettacolare in aprile. Nella foto un inquieto spilungone in Orto.
Piccoli fiori su grandi corimbi composti, ognuno ne può portare da poche decine a un centinaio.
La struttura delle infiorescenze meglio si distingue quando i fiori sono ancora in boccio.
Simmetria pentagonale, petali rotondi e ben separati fra loro. Sul bianco della corolla risaltano una moltitudine di stami dalle antere rosse. Il loro numero per l’esattezza è venti (multiplo di cinque).
Due pistilli sormontati da stigmi gialli e appiattiti. Petali praticamente circolari e dall’unghia stretta.
Calice più giallo che verde, ricoperto da fitta peluria; i sepali, quasi triangolari, si alternano ai petali penetrando appena tra gli spazi vuoti.
Fiori appena fecondati a metà giugno, han perso i petali e i ricettacoli cominciano già a ingrossare.
Frutti in settembre, sono melette che conservano il calice, come succede alle Pomoideae (sottofamiglia delle Rosaceae).
In ottobre raggiungono la piena maturazione, allora diventano rosse e lucide, ma non presso il residuo del calice dove permane un po’ di peluria.
L’effetto decorativo è assicurato oltre che dal colore dei pomi dalla loro quantità.
Sezione del pomo, due noccioli.
Corteccia liscia con righe di lenticelle e dal colore marrone…
…più o meno chiaro a seconda degli individui.
Un tipo sempre prolifico in un giardino privato in Via Tirana
Jardin de la Nouvelle France, un’oasi di tranquillità e biodiversità nel centro di Parigi. Portamento pseudo arboreo.
Esemplare grande e grosso al Giardino di Ninfa (LT)
Giovane coriaceus al sommo delle Mura Cinquecentesche nel tratto di Via Orsini. La foto, del 2021, documenta la completa naturalizzazione della specie in città. Purtroppo è stato ucciso in una delle periodiche e maniacali pulizie così tanto caldeggiate dal Comitato Mura, sempre supinamente assecondato da alcuni settori del Comune. Un vero peccato poiché questo esteso monumento potrebbe giocare l’importante ruolo di corridoio ecologico in città.