Sorbus domestica – Sorbo comune o domestico

portamento; foglia; fiore; frutto; corteccia; rametti; stipole; gemma; foliage; fenologia; areale di origine; sistematica e etimologia; dove trovarli 1; dove trovarli 2; gita a Strážnice in Cechia

Sorbus domestica L.
Nome imposto da Linneo nel celeberrimo Species Plantarum, Stoccolma, 1753, a pagina 477

Lacerto dalla pagina 477. Linneo lo caratterizza concentrandosi sul lato inferiore delle foglie che dice essere tomentoso. Ci informa poi che è originario della parte più calda dell’Europa. Mentre Bauhin in Pinax theatri botanici (1596) lo definisce coltivabile (sativa), forse vuol dire che è difficile trovarlo allo stato selvatico.
La specie fu presto ricollocata tassonomicamente (1834), un approfondimento l’ho messo qui.

Etimo: il termine ‘sorbus’ compare già, proprio in riferimento a questa specie, in Plinio (Naturalis historia) e in Calumella (De re rustica). Insomma, i romani la conoscevano bene e ne apprezzavano i frutti.


fenologia minima
Areale di origine – Native range

Albero bello e longevo, di certo sottovalutato come albero ornamentale. Raro in città, ma parecchi ne sono stati piantati di recente, bisognerà aspettare che crescano per catturarne immagini di fiori e frutti, e perché, più in là nel tempo, le prossime generazioni ne possano godere.
Non è molto alto, la chioma, inizialmente conica, tende ad espandersi poiché i rami sono inclini a porsi perpendicolarmente al fusto (almeno così sostengono i manuali).

Ogni albero cresce a suo modo, questi due esemplari in Orto, ad esempio, abitano fianco a fianco (area delle serre nuove) eppure uno ha assunto forma conica mentre l’altro è molto più slanciato.
Anche questo giovanotto sul sentiero della Torre del Ziro ad Amalfi è snello e svettante.
Giovanissimo (e informe – ma forse è colpa del vento) esemplare al Parco Mirò, Albignasego.
L’albero è pressoché indistinguibile dal cugino Sorbus aucuparia (Sorbo degli uccellatori), ma per fortuna i frutti sono molto diversi. Lui li ha grandi, in mazzetti scarsi e dal colore verde rosato a maturità (nella foto in settembre); potendo avere forma a pera o a mela.

Quelli dell’altro invece sono piccoli, numerosi e rosso arancio.

Per diventare commestibili si devono ammezzire (‘col tempo e con la paglia maturano le sorbole’, dice il proverbio, con ovvio significato), non avendo ancora una foto coi frutti pronti da mangiare la prendo in prestito da Wikipedia.
I frutti in maggio appena formati. Vistosi residui di calice: trattasi di pomi.
Giugno, si ingrossano e si appesantiscono: le infruttescenze cominciano a piegarsi.
Le infiorescenze sono grappoli molto accorciati (alcune fonti parlano di corimbi), in realtà a guardar bene si tratta di pannocchie (grappoli di grappoli).
Fioritura fra aprile e maggio. Certo ormai tutto anticipa da un anno all’altro… Anche in questa foto si vede bene la struttura a cono.
E anche qui a metà aprile appena uscita dalla gemma
Fiori in vari stadi di maturazione. I boccioli sono piccoli e rotondi. Corolla a simmetria pentagonale e petali bianco crema. Almeno una ventina di stami. Il tutto un po’ caotico.
Cinque pistilli verdolini, antere aranciate e filamenti candidi
Calice peloso a cinque lobi triangolari.
Nettario verde scuro, fitta peluria alla base dei pistilli, stigmi piatti.
Sezione trasversale del calice, cinque ovari inferi a un solo ovulo.
Antere a due logge che si aprono orizzontalmente
Petali bianchi (ricordano le valve delle conchiglie), unghia strettina.
Foglie alterne, composte, imparipennate. Foglioline molto allungate, dentate ai margini e con apice acuto.
Senza piccioletto e tutte all’incirca della stessa grandezza, anche le ultime due. Pagina superiore dapprima pelosetta poi glabra.
Pagina inferiore villosa, con venatura principale in evidenza.
Le venature secondarie si vedono poco. La dentatura è assente per il primo terzo a partire dalla base; in modo particolare per le foglioline mediane.
In autunno diventano di un bel colore aranciato.
Presenza di stipole. Non segnalate dai manuali, forse perché presto caduche.
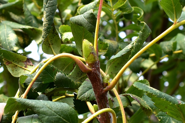
Gemma grossa, verde (poi in primavera arrossisce) e vischiosa…
…tanto vischiosa.
Rametti grigi, lucidi, con lenticelle sparse e grandicelle
Corteccia liscia nei rami giovani; poi si fessura a placche piuttosto lunghe. Nella foto si distingue lo stacco netto fra le due forme.
Colore grigio bruno.
Colli, Sentiero del Monte Baiamonte, segnavia 2 (1), un tenace domestica in veste autunnale.
Uno dei piccoli musei della Via Appia Antica. Nel cortile qualcuno ha pensato di creare un orto con piante care ai romani. Addossato al muro, sulla sinistra, inconfondibile un albicocco, e dietro, quasi totalmente ricoperto dal fogliame del Nostro, un melocotogno.
Uno splendido giardino boscoso a Lussinpiccolo (Quarnero).

Gita a Strážnice in Cechia
Sorbo monumentale (“Adamcova oskeruse”) presso la cittadina di Strážnice. Tutta l’area della Moravia meridionale è zona di produzione di sorbole e vi dimorano molti alberi censiti come monumentali.

Vi propongo una gita Google Maps, con atterraggio lì dove la scheda indica la presenza di Adamcova. Si vedono coltivazioni di sorbi e altri alberi da frutto; in lontananza ci sono grandi alberi che dovrebbero essere i sorbi più vecchi.


Eduard Spach, botanico francese, nel 1834 lo rinomina, assegnandolo ad altro genere. Il nuovo nome compare a pagina 97 del secondo volume de Histoire naturelle des végétaux, Parigi (l’opera completa è in 14 volumi pubblicati fra il 1834 e il 1848). Quest’uomo mi affascina. Visse tutta la vita a Parigi o meglio al Museo di Storia Naturale, scavando fra le collezioni lì conservate e con abnegazione e tenacia scrisse l’imponente opera di cui si è detto. Riporto l’intera pagina dove compare una descrizione dettagliatissima, che potrà servire, a chi ne vorrà approfittare, da ripasso. Ma non prima d’aver specificato che la specie è ancora oggetto di sistemazione definitiva, poiché per una parte dei botanici il nome da noi indicato in cima al post (Sorbus domestica L.) è solo un sinonimo di Cormus domestica (L.) Spach. La cosa mi intriga e stupisce poiché non si tratta, come di consueto, di sinonimia tra specie appartenenti allo stesso genere ma addirittura a generi diversi.

La pagina 97.

Anche in questa circostanza, per orientarmi tra le diatribe dei botanici, sono dovuto ricorrere alla competenza, e pazienza, della Professoressa Antonella Miola, che ringrazio grandemente.

Lascia un commento

Questo sito utilizza Akismet per ridurre lo spam. Scopri come vengono elaborati i dati derivati dai commenti.