Viburnum tinus – Viburno tino

portamento; foglia; fiore; frutto; corteccia; fenologia; areale di origine; dove trovarli; sistematica

Viburnum tinus L.
Nome imposto da Linneo nel celeberrimo Species Plantarum, Stoccolma, 1753

Le pagine 267 e 268. La descrizione si concentra sulle foglie (a bordo intero e di forma ovata) e sui rametti villosi. Interessante l’evoluzione del nome, dapprima era fra gli allori, poi diventa un Tinus, infine è collocato tra i viburni. Ho lasciato l’intestazione della pagina 268 perché ricorda che nella sistemazione di Linneo si trovava nella classe quinta ordine tre.
Fenologia: risveglio vegetativo, fioritura, fruttificazione
Areale di origine (Native range) – Regione mediterranea

Arbusto sempreverde interessantissimo e amatissimo, presente in un gran numero di giardini privati e non. Le sue peculiarità e la sua bellezza lo rendono caro ai giardinieri e ne fanno oggetto di attenzione da parte del Cercatore di alberi. Da qualche settimana ha cominciato a fiorire, e lo farà fino a tarda primavera facendo sbocciare i piccoli fiori, riuniti in vistosi ombrellini, quasi uno alla volta.

Infiorescenza con inserzione unica dunque a ombrella (ombrella composta più propriamente) ma piatta nella parte superiore, e in questo ricorda il corimbo composto.
Fiori bianchi e boccioli rosa, colori esaltati dal verde profondo delle foglie.
Cinque petali, cinque stami e un pistillo centrale nascosto dentro la corolla a imbuto
Petali leggermente sfrangiati ai bordi; antere con due sacche per il polline.
Tre stigmi e tre ovuli di cui uno solo arriva alla fecondazione.
In settembre maturano i frutti, abbondanti e vivaci…
…di un incredibile blu elettrico.
Fine aprile. Si intravedono i frutti dell’anno precedente ancora presenti sulla pianta.
E già all’inizio di febbraio si ricomincia.
Foglie verdi a margine intero e nervature ben visibili, ma rade.
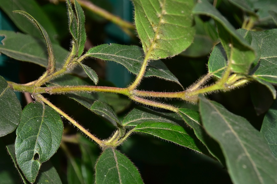
Picciolo e rametti ricoperti di una lieve peluria. Anche dal bordo fogliare sporgono piccoli peli a mo’ di ciglia. Nella foto si vede bene la fillotassi opposta.
Pagina inferiore più chiara con peluria lungo le nervature. Foglie lavorate a sbalzo.
La corteccia è marrone con numerose lenticelle.
E rimane liscia anche in individui anziani, come nel tino dell’Orto
Un esemplare monumentale che abita l’aiuola dedicata alla Macchia mediterranea. A ricordare il suo ambiente di elezione.
Gennaio 2018, Giardino Alicorno. Anche in questo caso un esemplare notevole.
Stessa inquadratura tre anni dopo (Febbraio 2021), il grande cipressino è stato appena abbattuto. Per i grandi alberi è dura di questi tempi…
Ai Giardini della Rotonda invece è in corso una ristrutturazione, e in questo caso sono le piante a portamento arbustivo a rimetterci. Questa siepe di viburni tino è stata sacrificata.
Le potature ripetute conducono alla morte precoce delle piante, così in questo caso ne han solo accelerato la fine.
Ai Giardini Treves vive un gran numero di tinus lungo il confine con l’Ospedale.
Dal lato dell’Ospedale. Impossibile godere della vista delle piante lungo la recinzione, che pure è formata da arbusti tutti dalla fioritura eccezionale. Non sarebbe una cattiva idea spostare il parcheggio sull’altro lato della strada, e far correre il marciapiede lungo la ringhiera (proposta del Comitato Mura).
Una siepe a protezione di un giardino privato in Via Mentana.
Ramo Maestro del Bacchiglione fra il Ponte San Leonardo e Corso Milano.
Giardino Cavalleggeri, qui abitano numerosi tinus lungo la recinzione dalla parte di Corso Milano.
Eccoli, ripresi dalla parte opposta. Vi chiederete come mai soltanto uno di tutti questi tinus, lo si intravede in fondo, sia fiorito, la risposta è semplice: li han potati selvaggiamente tirando via tutte le infiorescenze. Ma quale giardiniere può mai fare una cosa del genere?