Nome imposto dal botanico francese Adrien R. Franchet (1834-1900) in Nouvelles Archives du Muséum d’Histoire Naturelle, serie 2, fascicolo 10, pagina 65, Parigi, 1887 (pubblicato nel 1888). Franchet lavorava al Museo nazionale di storia naturale di Parigi e aveva a disposizione gli erbari dei collaboratori del museo che operavano in estremo oriente (tra cui il missionario padre Armand David). Catalogò e denominò più di duemila piante.
La pagina 65. Franchet ricorda i giovani rametti a sezione quadrangolare, le foglie opposte, e altri caratteri, elencati in bell’ordine e con estrema chiarezza, che ritroveremo documentati nel post.
Etimo Non capita spesso che entrambi i termini del binomio si riferiscano a botanici. Per il nome di specie si è già visto, mentre il nome del genere fu dato da Linneo che (in Species Plantarum) storpiò quello del pastore inglese Adam Buddle (1662-1715).
Fenologia minima. Se il clima è mite, non perde completamente le foglie.Areale di origine (native range) – Cina sudorientale.
Arbusto dalla folta chioma che tende a scompigliarsi se non contenuta. I numerosi fusti, lunghi e robusti, salgono repentini per poi ricadere mollemente quasi fino in terra. In Italia si è ben ambientato tanto da trovarlo spontaneo con una certa frequenza.
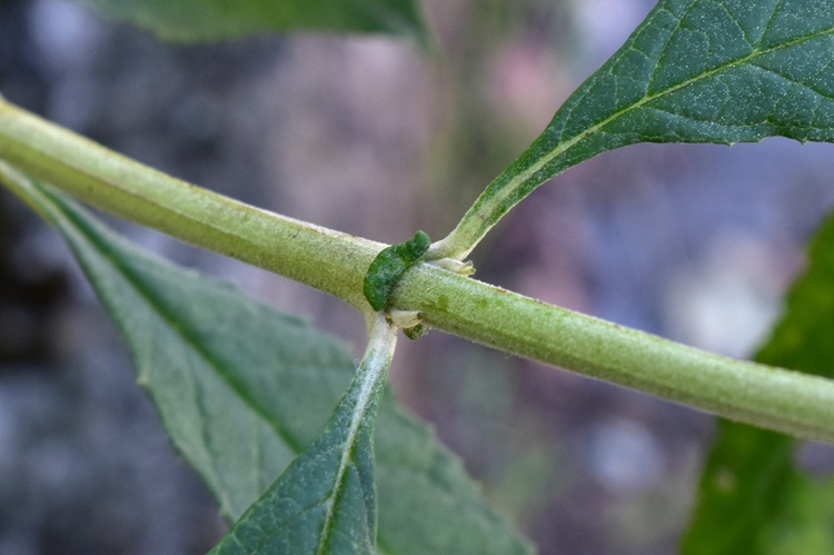
Un esuberante esemplare al Parco Europa – lato su Via Zamboni.Giovincello, scappato da qualche giardino, sulla diga di San Nicolò al Lido di Venezia. Foto in maggio.Jardin des PlantesL’esemplare dell’Orto. Si distinguono i fusti vigorosi.Corteccia grigio marrone, solchi sottili e poco profondiCon l’età si sollevano striscioline longitudinali.I giovani rametti hanno sezione quadrangolare e una spolverata di lanugine bianca.ParticolareSezione trasversale. All’interno midollo bianco e granuloso; quasi certamente ogni grano è una singola cellula. Ma ci vorrebbe un maggiore ingrandimento.Particolare della sezione in un rametto seccoSezione longitudinale dello stesso rametto.Foglia allungata, verde profondo, venature secondarie infossate e vistosi occhielli.Fillotassi opposta, ma al risveglio vegetativo in cima ai rametti sembra a verticilli. Foto in maggio.Base da acuta fino a quasi ottusa, vertice appuntitoBordo seghettato con denti irregolariLa lamina si protende verso il breve picciolo a formare timide alettePagina inferiore molto più chiara e ricoperta da folta peluria.Peli sottili e intrecciati, a simulare un tessuto infeltrito. Il bordo fogliare si ripiega (impercettibilmente) verso la pagina inferiore.Stipole sessili a forma di mezza luna;……a volte, bilobate.
Infiorescenza a pannocchia compatta più o meno allungata, di colore violaceo, o più propriamente lillà. Forma e colore ricordano da vicino Siringa vulgaris, ma sia il periodo della fioritura, sia, soprattutto, la foglia, aiutano a distinguere le due specie.
Le pannocchie occupano le cime dei rametti e sono composte da mazzolini di piccoli fiori. Corolla a imbuto molto allungato, che termina in quattro lobi ampi e ondulati.
Anche il calice ha i sepali saldati alla base e quattro lobi in cima, ma di forma appuntita. Nella foto (in realtà una composizione di singoli scatti) si distingue un rigonfiamento centrale, spesso accompagnato da un cambio di colore, in corrispondenza delle antere.
Le quali antere sono sessili e se ne stanno attaccate alla parete interna. Nella foto sezione longitudinale del tubo della corolla. Antere immature, due teche a due logge.
Jussieu colloca il genere nelle Scrophulariae (classe VIII, famiglia o ordo VII, sezione I, dunque: Dicotiledoni, monopetali, corolla ipogina e Quattro stami ineguali) e nella descrizione specifica: ‘stami corti, non sporgenti’.
Vista zenitale, si distingue una fitta peluria alla bocca del tubo. Quest’ultima è vistosamente colorata, di certo a beneficio degli insetti pronubi.Una farfalla colta nell’atto di introdurre la lunga proboscide.Ovario supero (corolla ipogina aveva detto Jussieu, ricordate?, ellissoidale, verde smeraldo. Stilo bianco vitreo, stigma bifido.All’interno moltitudine di ovuli attaccati ad una colonna centrale. Due setti per due carpelli.Le infruttescenze, che ripetono la forma delle infiorescenze, si presentano a coni allungati fitti di minuscole capsule.Nella foto si distinguono, molto meglio che nel caso delle infiorescenze, i mazzolini di capsule che formano la pannocchia.Residui di calice (tecnicamente, calice persistente)Ogni capsula si apre in due valveDentro miriadi di semi alatiPiccolissimi e leggerissimi. Le due ali laterali ricordano quelle dei semi di bignonia e catalpa.
Correlati
2 pensieri su “Buddleja davidii – Buddleia o Albero delle farfalle”
L’irresistibile curiosità davanti alle meraviglie dell’inesauribilità della Natura!
Ti voglio bene Elena.
Mamma mia. Praticamente gli hai fatto la TAC a ‘sta pianta!
Io la conosco come ‘albero delle farfalle’, che è già più facile.
Sei andato/a a vedere pure il midollo granuloso e le antere… io non ci sarei mai arrivata. E le stipole a mezza luna? Ma chi le ha mai viste?
Cioè, io al massimo arrivo a dire “oh che belli i fiori viola” e tu mi hai tirato fuori la storia del nome, le foto al microscopio dei peli, i semi alati… non ho parole.
Che pazienza. Adesso però quando ne vedo una penso alla ‘fillotassi opposta’ e mi sento intelligentissima ahaha.
L’irresistibile curiosità davanti alle meraviglie dell’inesauribilità della Natura!
Ti voglio bene Elena.
Mamma mia. Praticamente gli hai fatto la TAC a ‘sta pianta!
Io la conosco come ‘albero delle farfalle’, che è già più facile.
Sei andato/a a vedere pure il midollo granuloso e le antere… io non ci sarei mai arrivata. E le stipole a mezza luna? Ma chi le ha mai viste?
Cioè, io al massimo arrivo a dire “oh che belli i fiori viola” e tu mi hai tirato fuori la storia del nome, le foto al microscopio dei peli, i semi alati… non ho parole.
Che pazienza. Adesso però quando ne vedo una penso alla ‘fillotassi opposta’ e mi sento intelligentissima ahaha.
Che lavorone, complimenti!