
Questo articolo contiene la spiegazione dei termini tecnici che compaiono nei post del blog. Non ha alcuna pretesa di esaustività, consideratelo un piccolo aiuto alla lettura. Quando la voce è trattata con qualche informazione in più in un certo post, ho messo un link.
A
Amento

Populus x canescens
Il ben noto ‘gattino’, l’amento per antonomasia.


Quercus ilex
Un caso di amento meno compatto, tipico delle querce.
Infiorescenze femminili in amenti ovali di Alnus cordata (a sinistra) e glutinosa (a destra) – ontani


Betula pendula
Nel caso dei frutti (e la cosa vale anche per gli ontani) si dovrà parlare più propriamente di strobili
Androceo
Termine collettivo per indicare tutti gli stami del fiore.
Arillo

Involucro carnoso del seme.
(Euonymus alatus)
Famoso quello del Tasso

B
Bacca

Frutto carnoso con semi senza nocciolo e dispersi all’interno. (Arbutus unedo)
Un approfondimento a questo indirizzo
Baccello o legume

Una struttura (frutto) che si apre in due valve e contenente più di un seme.
Robinia pseudoacacia
Sophora japonica
Baccelli con vistose strozzature (tecnicamente baccello a lomento).

Bioma

Ambiente caratterizzato da un certo clima e una particolare vegetazione. Nel blog ne consideriamo solo cinque.
Bipennata

Foglia pennata con foglioline a loro volta scomposte in ulteriori foglioline.
(Albizia julibrissin)
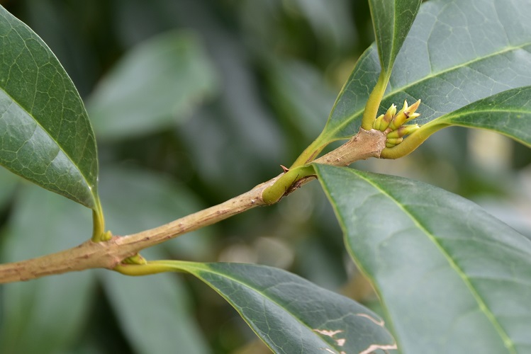
Brachiblasto


Anche gli aghi dei pini (nella foto aghi in fascetti di due di pino nero) sono portati da brachiblasti.


Brattea

Struttura che accompagna di solito il fiore, o l’infiorescenza, con funzione protettiva.
(Populus x canescens)
Corylus colurna
La specie ha nocciole racchiuse da brattee molto appariscenti


Esistono brattee di ogni foggia e dimensione.
Tilia cordata
C
Capolino

Infiorescenza in cui i singoli fiori sono assiepati all’estremità di un rametto, che in realtà è un peduncolo.
Albizia julibrissin

Carpello
Carpello: parte del fiore che contiene gli ovuli.
Un approfondimento a questo link
Caulifloria
Fenomeno in cui i fiori nascono direttamente dal tronco o dai rami più vecchi solitari o a mazzolini. Dal latino caule che vale fusto e floria, fiore.

Theobroma cacao, Albero del cacao.

Cercis siliquastrum, Albero di Giuda
Cimosa bipara

Cono o strobilo
Struttura riproduttiva delle gimnosperme, un asse portante un complesso di brattee e squame fertili in quella femminile, o solo squame fertili nella maschile (tecnicamente macrosporofilli e microsporofilli rispettivamente). Nei post ci siam presi la libertà di chiamarli ‘fiori’ maschili e femminili o ‘frutti’ a seconda del grado di maturazione. Più correttamente quelli che abbiam detto ‘fiori’ sono ‘infiorescenze’ e si dovrebbero chiamare rispettivamente cono pollinifero e cono ovulifero.

Cedrus atlantica
Si distinguono le squame dispiegate a spirale, le brattee non sono visibili.
Thuja (o Platycladus) orientalis
Cono femminile, pronto a ricevere il polline.


Picea abies
Cono maschile formato da squame disposte a spirale che portano, e proteggono, le sacche polliniche. Allo stadio ripreso nella foto le sacche si sono già aperte.
Cupressus sempervirens
Cono maschile. Squame con disposizione opposta su quattro file.


Cephalotaxus harringtonia
Coni maschili. Altra soluzione: le brattee formano palloncini che si aprono lasciando emergere strane strutture portanti le sacche polliniche.
Cedrus deodara
Strobilo femminile maturo composto da un asse centrale con squame sovrapposte come tegole (embricate).



Cryptomeria japonica
In questa specie le squame lignificando si fanno più rade.
Corimbo composto

Infiorescenza, e quindi infruttescenza, con i peduncoli attaccati in punti diversi del rametto ma di lunghezza differente in modo che i fiori si dispongano all’incirca sullo stesso piano.
Sambucus nigra
Anche se reclinato sembra uscito da un manuale.


Clerodendrum trichotomum
La pianta prende il nome specifico dal numero di diramazioni: di tre in tre.
Viburnum tinus
Spesso la differenza fra corimbo e ombrella non è così netta. In questa specie l’attacco dei peduncoli è in un unico posto come per l’ombrella ma i fiori giacciono su un unico piano come per il corimbo.


Crataegus monogyna
Fiori da poco fecondati
Crenato

Bordo fogliare con profilo sinusoidale ovvero denti smussati. Spesso si accompagna una qualche ondulazione del margine della foglia.
Parrotia persica

Cultivar
Una varietà ottenuta artificialmente da giardinieri o vivaisti. Al plurale la parola resta invariata e si scrive in stampatello e con lettera maiuscola. In verità si dovrebbero mettere le virgolette, ad esempio Quercus robur “Fastigiata”, ma Unalberoalgiorno per pigrizia e per non appesantire le scritture ha fatto la scelta di non metterle.

Quercus robur Fastigiata
Liriodendron tulipifera Aureomarginatum

D
Dentato

Bordo fogliare con sporgenze che richiamano il profilo di un dente. La forma dei singoli denti è varia: triangolare, rettangolare, più o meno smussata. Anche le dimensioni sono variabili, da piccolissime a molto grandi, ma mai quanto quelle di un lobo. Quanto all’orientazione è ortogonale al bordo: né verso al base né verso il vertice della foglia.
(Populus x canescens)
Acer campestre
Lobi muniti di grossi e radi denti.


Mahonia bealei
Denti spinosi e di varie dimensioni.
Interessante il caso di Ailantus altissima con foglioline che hanno alla base una o due coppie di denti vistosi


Betula pendula
Un caso, abbastanza comune, è la doppia dentatura: ogni dente ha margine a sua volta dentato.
Dioica (di specie)
Una specie è dioica quando porta fiori maschili e femminili su piante diverse. Sono esempi di specie dioica: Gleditsia triacanthos, Salix alba, Juniperus sabina.

Un felice esempio di pianta dioica è Acer negundo, poiché la femmina conserva a lungo le infruttescenze.
Drupa

Se hai la polpa e un nocciolo (talvolta più d’uno) con un solo seme dentro (o anche di più), allora sei una drupa.
Olea europaea
L’oliva è la drupa per antonomasia, ma quasi tutti gli alberi con frutti carnosi portano drupe; più rare sono invece le bacche.
Un approfondimento a questo indirizzo
F
Fillotassi
Studio della disposizione spaziale delle foglie. La geometria è affascinante ma molto complicata, ci limitiamo ai soli casi di foglie: alterne, opposte, a verticilli.
alterna

Ziziphus jujuba
Fillotassi alterna: una foglia per nodo
Sequoia sempervirens
Fillotassi alterna distica: una foglia per nodo e una per parte. Tutte le foglie sullo stesso piano

opposta

Olea europaea
Fillotassi opposta. Due foglie per nodo.
opposta decussata
Molto spesso nella configurazione per foglie opposte le coppie si dispongono sfalsate di novanta gradi. Succede così anche nell’ulivo.


E ancora meglio si vede nell’osmanto
a verticilli
Nerum oleander
Fillotassi a verticilli di tre. Tre foglie per nodo. Evidenziati due piani: bianco e giallo.

Fiore (parti del)

Pur essendoci fiori di molte fogge in tutti si possono riconoscere gli stessi elementi morfologici.

Crataegus monogyna
A sinistra i sepali verdi e ripiegati all’ingiù verso il ricettacolo. Corolla, stami, pistillo a destra.


Foglia (forma della)
Voce vasta e complessa, vi rimando a un post ad hoc
Foglia (nervature terziarie)
Voce vasta e complessa, vi rimando a un post ad hoc
Flosculo (tubuloso e ligulato)

Fiorellino tipico dell’infiorescenza delle Asteraceae o Composite. Ha due forme, tubuloso e ligulato. In entrambi i casi e monopetalo, ma nel primo la corolla termina con un certo numero di lobi, nel secondo con un lungo lobo che assomiglia a una linguetta. Confronta anche i post su Composite o topinambur.
Frutti aggregati o composti

Tipo di frutti che si formano a partire da un unico fiore che porta più ovari separati. (Rubus ulmifolius, mora del rovo)


Frutti carnosi
Uno dei possibili modi per suddividere i frutti è in secchi o carnosi, questi ultimi han polpa succulenta e spesso colori accesi, gli altri han buccia fibrosa e rigida con una scarsa o nulla percentuale di acqua.

Frutti multipli o infruttescenze
Tipo di frutti formati da piccoli frutti saldati assieme e provenienti da fiori diversi. Possono essere di due tipi: sorosio (quello del gelso – che è detto anche sincarpo) oppure siconio (ad esempio nel fico). Nel sorosio sono i tepali ad accrescersi, saldarsi e diventare carnosi, mentre nel siconio è il ricettacolo a dare la polpa (così il siconio è in realtà un falso frutto)
Sorosio o sincarpo

Siconio



G
Galbulo


Se carnoso, si dice anche coccola
(Juniperus sabina)
Gimnosperme
Gruppo di piante con ovuli non protetti da un ovario. Il termine è parola composta dal greco: gymnos=nudo e sperma=seme, cioè seme non contenuto in un frutto. Nel blog se ne parla a lungo: Distinguere le gimnosperme, una serie di articoli sulla loro morfologia; Mr. Brown e M. Brongniart e la scoperta della gimnospermia, sulla storia della sistemazione tassonomica; Robert Brown – Dalla Kingia alla scoperta della gimnospermia, sulla affascinante storia della scoperta della gimnospermia.
Gimnospermia

Gineceo
Gineceo: termine collettivo per indicare tutti i pistilli del fiore. O anche: termine collettivo per indicare tutti i carpelli del fiore. Un approfondimento a questo link
Grappolo

Infiorescenza al cui asse principale sono attaccati i peduncoli dei singoli fiori. Un grappolo di grappoli si dice pannocchia.
Attenzione: se i singoli fiori non hanno peduncolo (sono sessili), si ricade nel caso della spiga.

Mimosa (Acacia dealbata), la più classica dell’infiorescenza a grappolo.
Non gli è da meno l’infiorescenza del Lauro del Portogallo (Prunus lusitanica)

I
Ibrido (di specie)
Incrocio fra specie diverse avvenuto in natura o con lo zampino dell’uomo. Un evento raro è l’incrocio fra specie appartenenti a generi diversi.

Platanus x acerifolia un incrocio naturale fra P. orientalis e P. occidentalis
x Cupressocyparis leylandii un ibrido, artificiale, fra le due specie (appartenenti a generi diversi): Cupressus macrocarpa e Chamaecyparis nootkatensis

Infiorescenza
Non è il fiore, ma la struttura che porta un certo numero di fiori. Nei disegni a compendio dei vari tipi di infiorescenze i fiori sono schematizzati con puntini e i peduncoli con segmenti. Possiamo raggruppare le infiorescenze in semplici e composte.
Semplici (in ordine di complessità crescente): amento, capolino, grappolo, ombrella, corimbo;
Composte: pannocchia, ombrella composta, corimbo composto.
M
Monoica (di specie)
Una specie è monoica quando porta fiori maschili e femminili sulla stessa pianta; dal greco monos = uno e oikos = casa, ovvero ‘una sola casa per entrambi i sessi‘. Sono esempi di specie monoica: Betula pendula, Buxus sempervirens.

Corilus avellana è un esempio di pianta monoica. Esempio felice, poiché il fiore femminile è appena sopra l’infiorescenza maschile.
N
Noce

Noce di Zelkova carpinivolia, singolare per forma e dimensione


Le cose a volte sono complicate e curiose: il frutto del Noce non è una noce ma una drupa: ha il mallo.
(Juglans regia)
Nomenclatura (convenzioni)
Il modo di scrivere i nomi scientifici delle piante e tutte le numerose convenzioni ad esso associate sono oggetto di un apposito post.
O
Ombrella

Infiorescenza, e quindi infruttescenza, con i peduncoli attaccati tutti nello stesso punto del rametto e i fiori che delimitano una calotta più o meno ampia.

A volte può assumere addirittura forma sferica. (Hedera helix)
Una ombrella di ombrelle prende il nome di ombrella composta.

Ovario (posizione dell’)

A seconda del tipo di attaccatura dell’ovario al ricettacolo (in rosso la zona di aderenza):
supero se l’o. aderisce con la sola base al ricettacolo;
infero se vi aderisce in tutte le sue parti;
semi infero se vi aderisce parzialmente.
Lagerstroemia indica, ovario supero


Hibiscus syriacus, altro fulgido esempio di ovario supero
Malus domestica. Sezione longitudinale del fiore, in alto la base dello stilo, al centro gli ovuli e le logge che li ospitano. Esempio paradigmatico di ovario infero. Il frutto è un pomo.

Naturalmente tutti i pomi provengono da un ovario infero, ma, attenzione, poiché non tutti gli ovari inferi danno luogo a pomi.

Feijoa sellowiana, ovario infero. Il frutto è una bacca.
Hedera helix, ovario semi infero.


Amelanchier ovalis, ovario semi infero.
P
Pannocchia

Infiorescenza composta da un grappolo di grappoli.
Papilionaceo (di fiore o meglio di corolla)

Fiore a simmetria bilaterale che richiama la farfalla. Tipico dei piselli. Corolla a cinque petali; la carena racchiude stami e pistillo.
(Wisteria sinensis)
Naturalmente non mancano le varianti, la natura si sa è irriducibile…
Sophora japonica, vessillo molto largo e ali reclinate.


Cercis siliquastrum, vessillo più piccolo delle ali e posto anteriormente a queste. A detta di Tournefort i petali della carena sono completamente separati.
Amorpha fruticosa, fiore papilionaceo a unico petalo (dovrebbe corrispondere al vessillo)

Pappo

Giro di peli a formare un piumino.
(Platanus x acerifolia)
Peltata (di foglia)

Foglia peltata quando il picciolo si attacca al centro della lamina. (Ricinus communis, Ricino)
Petalo (parti del)

I petali formano la corolla, e si compongono di lamina (parte superiore) e unghia (parte inferiore). In analogia con la foglia che si struttura in lamina e picciolo
Curiosa l’unghia del petalo di Lagerstroemina indica che ha forma di tubicino.

Pigna (parti della)

Strobilo maturo dei pini formato da un asse centrale con squame inserite a spirale. La faccia superiore di queste ultime si divide in unghia, la zona coperta, e apofisi o scudo la regione poligonale scoperta.
Apofisi o scudo a sua volta composto da: umbone, di solito a forma di losanga; e mucrone, uno sperone più o meno pronunciato.


Pinus sylvestris
Bene si distingue l’unghia di colore nero violaceo nel pino silvestre.
Pistillo
Pistillo: parte del fiore che contiene gli ovuli; formato da uno o più carpelli.
Un approfondimento a questo link
Pollone

Ricaccio emesso da punti diversi della pianta.
Nella foto polloni radicali alla base del tronco di Tilia tomentosa.
Acer pseudoplatanus Leopoldii
Un esempio di colpevole potatura, evidenziata da polloni emessi dalla pianta al fine di ristabilire l’equilibrio energetico.

Pomo

Falso frutto derivante dall’ingrossamento del ricettacolo. Tipico di fiore con ovario infero.
(Crataegus monogyna)

Un approfondimento a questo indirizzo
Pruina

Sostanze cerosa che ricopre certi frutti, o altri organi della piata. (Prunus cerasifera)
A destra la faccia inferiore del rametto di Thuja plicata ricoperta da polvere cerosa, mentre l’altra faccia è liscia e brillante.

R
S
Samara

Un frutto dotato di ala. Molte le soluzioni adottate in natura per facilitare la dispersione. Lunga e sottile nei frassini: Fraxinus angustifolia
Due ali avvolgenti a formare un disco negli olmi: Ulmus minor


E naturalmente gli aceri, dove però è doppia: Acer campestre
Seghettato o serrato

Bordo fogliare munito di denti rivolti verso il vertice della foglia. Non devono essere necessariamente acuminati, l’importante è che siano orientati come i denti di una sega: la punta verso la cima dello strumento.
Zelkova serrata
Più serrati di così…


Arbutus unedo
Denti piccoli e irregolari.
Prunus avium


Carpinus betulus
Comune il caso di doppia seghettatura.
Sessile

Di foglia priva di picciolo.
Nella foto la foglia, composta da tre foglioline, di Acer griseum: le due foglioline laterali sono sessili.
Il termine si usa in generale per qualsia organo che si inserisce direttamente su un altro, senza la mediazione di un terzo più ristretto. Nella foto strobilo sessile (= privo di peduncolo) di Pinus nigra.

Sorosio o sincarpo
Frutto multiplo, o infruttescenza, formato da piccoli frutti saldati assieme e provenienti da fiori diversi.

Spiga

Infiorescenza simile all’amento (o al grappolo), ma con fiori sessili.


Infiorescenza composta (maschile) di Pinus mugo = una spiga di coni ellissoidali.


Agnocasto, una spiga fatta di infiorescenze a verticillo. (Ars combinatoria di Madre Natura)
Stame – Staminodio

Organo maschile del fiore composto da filamento e antera, l’insieme degli stami forma l’androceo. Esiste grande varietà di soluzioni per la combinazione filamento-antera architettate dalla Natura. Molte piante han stami sterili (staminodi).
Crataegus monogyna


Laurus nobilis
Stame sterile (a sinistra) con strane formazioni attorno ad un asse centrale, mentre nel fiore maschile (a destra) l’antera è munita di cassetto con sportellino.
Tilia americana
Stami sterili (staminodi)

Stipola

Formazione simile a foglia alla base del picciolo. Di solito due, ma anche in numero diverso.
(Crataegus monogyna)
Crataegus laevigata Paul’s Scarlet

T
U
Urceolata (di corolla o calice)
Corolla con i petali saldati a forma di orcio. In modo analogo per i sepali del calice.

V
Varietà
Una mutazione avvenuta in natura, e stabile, di una data specie.









Cara Signora, la ringrazio per gli apprezzamenti, ché sono sempre graditi.
Di recente ho presentato al Consiglio di Quartiere l’idea di munire i più importanti alberi del centro (un centinaio almeno?) di cartellini identificativi e di un codice QR con rinvio ad un data base dove trovarne la descrizione. Ho ritardato a risponderle perché aspettavo una risposta da un collega un po’ più addentro di me nelle cose del Comune. Pare però che la faccenda vada per le lunghe.
Anch’io sono convinto che sarebbe bello organizzare visite guidate anche per gli alberi. Ma col Comune non è facile neanche avvicinarsi. Sarebbe bellissimo anche creare un gruppo interessato e organizzare dei percorsi per la città, magari lo stesso blog potrebbe fare da elemento aggregante. Un po’ come succede nella formazione dei cristalli quando attorno ad una piccola impurità cresce una struttura ordinata. Bella l’analogia con la creazione dei cristalli, esperienza affascinante e bellissima!, ma per renderla ancora più aderente, ché lì occorre una soluzione soprasatura, servirebbe un desiderio incontenibile da parte di tanti, o alcuni.
Gentile Signore, La ringrazio dell’ invio dei bellissimi articoli sugli alberi: proprio questa mattina sono andata lungo l’ argine del fiume in Riviera Paleocapa, a vedere gli alberi, ora che ne conosco il nome.
Io non so chi Lei sia, ma vorrei suggerirLe qualche altra cosa: non sarebbe bello riuscire a mettere un cartellino accanto agli alberi per identificarli? Ovviamente con nome latino e italiano. Forse parlando con l’ assessore al verde si potrebbe fare. Poi sarebbe anche molto bello se, assieme a qualche associazione (per esempio il FAI di Padova pare che si interesserà proprio del verde a Padova), si potessero organizzare con delle brave guide, che Lei senz’ altro conosce, delle piccole visite guidate.
In ogni caso La ringrazio ancora molto, Francesca d’ Arcais