Fagaceae Quercus ilex L. Il nome scientifico fu assegnato da Linneo nella prima edizione del celeberrimo Species Plantarum, 1753. fu un (o piuttosto ‘il’) naturalista svedese, concepì la moderna classificazione scientifica degli esseri viventi, e introdusse la nomenclatura binomia (Systema Naturae, 1735).
La pagina 599 del secondo volume. Pianta collocata fra le Monoecia Polyandria (monoiche a molti stami). Foglie allungate alquanto, senza lobi ma a bordo seghettato. A corteccia intera la chiamava Bauhin.Fenologia minima: ripresa vegetativa, fioritura, fruttificazioneAreale di origine (native range)
Quercia sempreverde il Leccio è pianta squisitamente mediterranea, e dalle forme mutevoli: da esemplari imponenti, negli spazi più aperti, a bassi arbusti, nella macchia più fitta. La specie è longeva, anche 1000 anni. Molti sono i miti legati a quest’albero, uno per tutti dalla Bibbia. Susanna (Libro di Daniele, 13) insidiata, e poi calunniata, da due vecchi laidi, è condotta a giudizio. Ma l’inganno è smascherato dal profeta Daniele che fa emergere una contraddizione interrogando separatamente gli spergiuri: uno testimonia di aver visto Susanna commettere adulterio sotto un lentisco, l’altro sotto un leccio.
Lorenzo Lotto, Susanna e i vecchioni (particolare), 1517, Uffizi, File-Wiki. Al centro, riconoscibile, un boschetto di lecci. La donna, in questa parte del quadro, è raffigurata in un hortus conclusus. Bellissima e molto più ‘carnale’ l’interpretazione del soggetto da parte di Veronese; l’opera risale a quasi un secolo dopo (1580). National Gallery, Londra. Entrambi gli artisti pare abbiano deciso che dovevano essere lecci.Gruppo di poderosi lecci in Piazza Mazzini, di certo i più vecchi in città. Forse piantati in occasione dell’inaugurazione del monumento a Mazzini, padre della Patria, nel 1903. Piazzale San Giovanni. Suggestiva macchia: Sambuco e Leccio fioriti, fiori bianchi e gialloverdognoli rispettivamente, e ligustro del Giappone; a testimoniare l’inclinazione arbustiva delle tre specie. Monumentale siepe di Leccio a Pontecorvo.
Avvicinandosi a questo albero e guardando accuratamente le singole foglie, si scopre a poco a poco, e con un po’ di pazienza, una grande varietà di forme e gradazioni di verde.
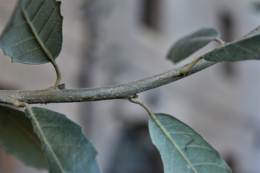
La siepe a PontecorvoFoglie giovani, aculeate e pelose, Disposizione alterna. Le foglie dei polloni sono tondeggianti e spinose, e ricordano l’Agrifoglio (Ilex aquifolium).Foglia tomentosa nella pagina inferioreA maggiore ingrandimento: una peluria indistinta.Giovani rametti, grigioverde e vellutati.In aprile-maggio la pianta si tinge di giallo: sono gli amenti maschili che crescono numerosi.
Non ho saputo resistere alla tentazione di riportare due lecci dei Giardini di Kew di Londra. Una delle due querce è singolarmente carica di fiori, l’altra assiste benevola allo sfrenato gioco di una scolaresca.
Lunghi filamenti in grappoli che portano i singoli fiori maschili.Antere verdegiallo……qualche giorno dopo dispiegateIl singolo fiore maschile privo di corolla e calice, ha poche antere portate da brevi filamenti. Lo protegge una brattea pelosa.I fiori femminili sono portati da sottili strutture, alle ascelle fogliari, che in seguito diventeranno ramettiFiore privo di corolla. Numerose squame ricoprono l’ovario, questa sorta di involucro diventerà la ben nota cupola della ghianda. Cinque stigmi rossastriFiori appena fecondati, o frutti appena formati…I frutti (ghiande) maturano in autunnoBrevissimo peduncoloInverno.Corteccia inizialmente lisciaCon l’età si fessura in piccole placche quadrangolari.
Altri luoghi in città
Un giovane esemplare, che ancora non ha conosciuto l’offesa della potatura. Parco Europa.Lezione di Dendrologia al Parco Iris… …la parte nord del Parco ospita un boschetto di gagliardi esemplari.Filare di lecci al Giardino San Carlo all’Arcella.Entrata del Museo Civico, in primo piano il leccio che la orna. Sullo sfondo la facciata della Chiesa degli Eremitani.Gruppo di lecci ai Giardini Boris Giuliano in Via Morgagni.Via ManzoniVia Palestro, il rosafucsia dei cercis si staglia sul verde cupo dei lecci. Filare di Quercus ilex in Riviera San Benedetto, nei pressi della chiesa.
Correlati
2 pensieri su “Quercus ilex – Leccio”
Grazie. Sì è proprio un modo per entrare in “sintonia” con la città. Ma è un po’ frustrante quando poi li rivedi maltrattati o addirittura non li ritrovi più perché li abbattono.
Bella la storia della piccola ghianda. Auguri di felice crescita!
Belle foto che testimoniano la sintonia, che condivido, con gli alberi della propria città 👏👏👏 … Ti allego il link del blog che ha creato un mio amico, co-piantumatore della quercia palustre che ho riprodotto da seme … una ghianda raccolta sotto l’esemplare, ultra cinquantenario, del giardino di casa … siamo a Rimini e la quercia palustre l’abbiamo piantata al parco Marecchia, non lontano dal Fidopark 😃 https://sacraquerciapalustre.blogspot.com/?m=1
Grazie. Sì è proprio un modo per entrare in “sintonia” con la città. Ma è un po’ frustrante quando poi li rivedi maltrattati o addirittura non li ritrovi più perché li abbattono.
Bella la storia della piccola ghianda. Auguri di felice crescita!
Belle foto che testimoniano la sintonia, che condivido, con gli alberi della propria città 👏👏👏 … Ti allego il link del blog che ha creato un mio amico, co-piantumatore della quercia palustre che ho riprodotto da seme … una ghianda raccolta sotto l’esemplare, ultra cinquantenario, del giardino di casa … siamo a Rimini e la quercia palustre l’abbiamo piantata al parco Marecchia, non lontano dal Fidopark 😃 https://sacraquerciapalustre.blogspot.com/?m=1