Prunus lusitanica – Lauro del Portogallo

Per l’elegante fogliame e la fioritura è certamente uno degli arbusti più belli, se poi si aggiunge che è un sempreverde, si capisce che è una pianta da tenere in giardino; lì dove si può, poiché in fatto di temperature è esigente crescendo solo nelle regioni a clima più mite. Dunque un arbusto da tener presente in periodo di innalzamento globale della temperatura.

Fenologia minima: risveglio vegetativo, fioritura, fruttificazione.
Areale di origine (native range), una ristretta area geografica: parte occidentale della Penisola Iberica.
Il periodo vegetativo comincia sin da febbraio e si protrae fino in maggio. Foglia allungata di un bel verde profondo e nervature più chiare, picciolo proporzionato e con caratteristica scanalatura, bordo a piccoli denti, vertice appuntito e base elegantemente arrotondata.
Pagina inferiore pallida con nervatura primaria a sbalzo
Fillotassi alterna e giovani rametti rossi.
Lunghe e sinuose infiorescenze a grappolo…
…Forse il più classico dei grappoli. Nella foto facile distinguere l’asse centrale, i boccioli con peduncoli pronti a distendersi e le brattee protettive.
Fiore simile a quello del cugino Lauroceraso: simmetria pentagonale, petali candidi e saldati nella parte inferiore a formare un tubicino (tubo corollino) colorato d’arancio; stami sporgenti e numerosi (tre per petalo) che circondano il lungo stilo.
Stigma giallo e bitorzoluto.
Fioritura abbondante e spettacolare con le infiorescenze che si dipartono un po’ in tutte le direzioni, ma in prevalenza verso il basso…
…formando, in certi esemplari, spumeggianti cascate.
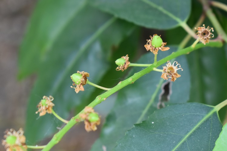
Fiori appena fecondati in giugno
Drupe oviformi che maturando diventano dapprima rosso fuoco e poi violacee
La corteccia è grigia liscia e sottile
…con lenticelle ellittiche disposte per righe orizzontali.
Cresce, da bravo arbusto, con molte ramificazioni sin dalla base o talvolta da piccolo alberello. Nella foto due esemplari che vivono al Parco Iris.
Ma se non gli vengono tagliati i rami bassi ha aspetto più compatto. Nella foto un altro esemplare nello stesso Parco.
Se lasciato in pace, come qui in un giardino privato in provincia di Vicenza, può assumere anche grandi dimensioni. Diversamente dal lauroceraso può raggiungere anche un’altezza di quindici metri.
L’individuo dell’Orto, bello ed elegante.
Arbusteto di Agripolis, colto in piena fioritura.
Giardino privato in Via Monte Grappa.