Calycanthus floridus L. Nome assegnato da Linneo a pagina 1066 dell’edizione del 1759 di Systema Nature.
La pagina in questione.Fenologia minima. Il periodo di fioritura è lungo e si sovrappone con la fruttificazione.Areale di origine (native range): Stati Uniti orientali da New York alla Florida passando per la Carolina (Carolina Allspice il nome comune), ma si estende anche ad ovest fin quasi alla foce del Mississippi.
Arbusto dal fiore bellissimo per forma e colore, il fogliame verde brillante ne esalta il fascino e contribuisce a rendere ancora più attraente, se possibile, la pianta. Non è molto comune in città, lo è di più il cugino C. occidentalis, entrambi nordamericani son venuti in Europa il primo a metà Settecento, il secondo molto tempo dopo.
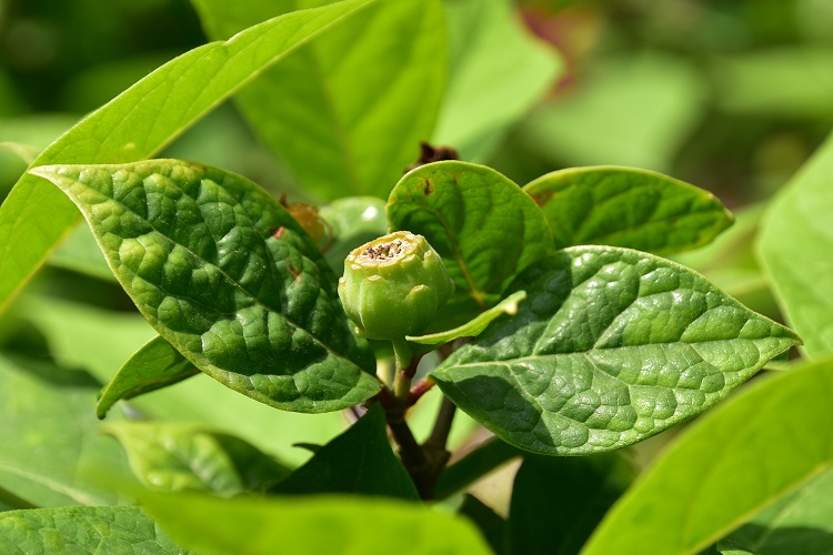
Tanti fusti sottili si innalzano allargandosi in sommità. La pianta non è molto alta e il portamento è più simile a quello di un cespuglio, ma le foglie grandi e fitte le danno un aspetto compatto e lussureggiante. Nella foto l’esemplare dell’Orto.Nel giugno di qualche anno dopo. Cresce lentamente ma rigoglioso, e lo spettacolo, quando fiorisce, è assicurato.Un gruppo vive al Parco Iris nei pressi dell’entrata da Via Canestrini, quella del parcheggio. In questo filare i calicanti occupano la parte in primo piano.Qui in aprile, le macchie scure sono fiori.AvvicinandosiPetali e sepali crescono indistinti (tepali), e sono lunghi e stretti. Il fiore è eretto e non mostra mai gli organi riproduttivi poiché i numerosissimi tepali sembrano inesauribili. Bocciolo e fiore appena fecondato.I tepali sono carnosi e cominciano ad ingiallire dalla punta.
Nella struttura interna del fiore la pianta rivela la sua origine arcaica (fossili del genere Calycanthus risalgono a 144 milioni di anni fa). Il pensiero corre al fiore della magnolia col quale ha in comune la disposizione a spirale degli organi sul ricettacolo e gli stami privi di filamento.
Tolti i tepali, emergono curiosi stami tutti antere lunghe e sottili. E ancora più dentro… tantissimi pistilli sormontati da stigmi filiformi.L’ovario è infero, così gli acheni (che si originano dagli ovari) crescono dentro il ricettacolo.Che poi diventa una sorta di capsula……dalla forma curiosa.Frutto in formazione in maggio. Si distinguono le tracce dei tepali ai lati e quelle degli stami nella parte superiore.In secondo piano, sfocata, la sagoma di un fiore. La fioritura dura da aprile a luglio, a volte anche oltre.La foglia ha lamina larga e base perlopiù acuta, mentre il vertice è acuminato. Evidenti le venature che assecondano la tendenza delle foglie a esibire disegni a sbalzo.Picciolo breve e scanalato, bordo intero, colore verde brillante. Lamina e bordo ruvidi al tatto procedendo verso la base, lisci in senso opposto.Il motivo? Minuscoli aghi e peli rigidi.Pagina inferiore pallida con venature chiare e in rilievoDebolmente vellutata: peli morbidi e radi.Fillotassi opposta. Gemme marrone e appuntite.Corteccia liscia e grigia con venature verdastre.Rametti marrone scuro con lenticelle chiare
Correlati
2 pensieri su “Calycanthus floridus – Calicanto estivo”
Cara Monica,
sono lieto che il blog ti sia utile. Ma a questo punto dovresti mostrarci qualche tua opera, o dire dove possiamo trovarla.
Grazie davvero! Trovo le descrizioni puntuali ed accurate. Inoltre le foto, anche nel dettaglio, sono molto utili a chi, come me, unisce la passione naturalistica a quella per l’acquerello botanico. Felice del fortunato incontro
Cara Monica,
sono lieto che il blog ti sia utile. Ma a questo punto dovresti mostrarci qualche tua opera, o dire dove possiamo trovarla.
Grazie davvero! Trovo le descrizioni puntuali ed accurate. Inoltre le foto, anche nel dettaglio, sono molto utili a chi, come me, unisce la passione naturalistica a quella per l’acquerello botanico. Felice del fortunato incontro
Monica
>